2391 King Street Nw Cranbrook, British Columbia V1C 6S7
$284,900
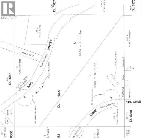
Just under 15 acres – Ready for Your Vision Located just minutes from Cranbrook, this nearly 15-acre parcel offers exceptional value and versatility. With subdivision registration nearing completion, this property fronts along King Street and is priced attractively on a per-acre basis. The land features two prime building sites, with the most prominent spot perched on a knoll that has some views and excellent sun exposure. A newly drilled well (20 GPM) is already in place, and septic perc testing has been completed—laying the groundwork for future development. Formerly the site of a historic gravel operation, the property’s landscape now provides a mix of open space and elevation—ideal for those seeking a rural residential lifestyle with extra room to spread out. Zoned RR-4, it’s a rare opportunity for anyone looking to establish a home, hobby farm, or private retreat with space to grow. Take advantage of this unique offering—where history meets opportunity—just a short drive from city conveniences. GST is applicable to the purchase price (id:49650)
Property Details
| MLS® Number | 10358707 |
| Property Type | Vacant Land |
| Neigbourhood | CRANL Cranbrook Periphery |
| Road Type | Paved Road |
Building
| Type | Other |
| Utility Water | Well |
Land
| Acreage | Yes |
| Sewer | No Sewage System |
| Size Irregular | 14.96 |
| Size Total | 14.96 Ac|10 - 50 Acres |
| Size Total Text | 14.96 Ac|10 - 50 Acres |
| Zoning Type | Residential |
Utilities
| Cable | Available |
https://www.realtor.ca/real-estate/28710403/2391-king-street-nw-cranbrook-cranl-cranbrook-periphery
Interested?
Contact us for more information
Jason Wheeldon
Personal Real Estate Corporation
www.cranbrookrealty.com/
https://www.facebook.com/cranbrookrealestate/
#25 - 10th Avenue South
Cranbrook, British Columbia V1C 2M9
(250) 426-8211
(250) 426-6270
Kaytee Sharun
www.ekrealty.com/
https://www.linkedin.com/in/kaytee-sharun-22a09b89/
https://www.instagram.com/kaytstheREALTOR®/?hl=en
#25 - 10th Avenue South
Cranbrook, British Columbia V1C 2M9
(250) 426-8211
(250) 426-6270





